- Nabídka nemovitostí
- Pozemky
Prodej posledního stavebního pozemku o výměře 1063 m2 s podílem 1/7 na přístupové komunikaci včetně všech inž. sítí ve velice žádané lokalitě Příbram - Orlov. U pozemku je již hotové přípojné místo elektřiny, přípojka tlakové kanalizace včetně odpadní nádrže a čerpadla, vodovodní přípojka. Stavba přípojek je již hotová a čeká se na kolaudaci stavby. Ve fotkách jsou starší snímky ze stavby, která už je hotová. Na přístupové cestě se provádí osazení asfaltového povrchu. Vše má být hotové do konce roku 31.12.2025. Prodávající uhradí na svoje náklady vybudování uvedených přípojek a asfaltové cesty. Cena vybudování přípojek a cesty je již obsažena v ceně každého pozemku. Kupující již nic nepřiplácí na přípojky, akorát si zajistí elektroměrovou část el. přípojky, revizi a osazení elektroměru. Pozemky jsou na krásném místě 300 m od lesa. Ideální pro bydlení - příroda za domem a do města Příbram jede MHD a na Prahu přímé autobusové spojení /pid /. Praha vzdálená 60 km po dálnici D4 - cca 40 min. Orlov je část Příbrami, což je okresní město s veškerou infrastrukturou. Cca 300 m za domem začíná les, který přechází v souvislý pás Brdských lesů a na části je CHKO. Krásné a klidné bydlení. Na pozemky je zpracována architektonická studie Karnet architekti. Možnost požádat o stavební povolení po vyhotovení stavební dokumentace na dům podle vlastního uvážení. Na požádání nebo při prohlídce pozemku možnost do studie nahlédnout. Architekti navrhli typ zástavby - obytné přízemí a podkroví. Není nutné dodržet typ domu ze studie. Cena pozemku včetně přípojek a cesty je 4.700.000,-Kč. Podrobné informace v RK.
- Lokalita: Středočeský kraj
- Příbram - Orlov
- Cena za nemovitost: 4.700.000,-Kč
- Stav: ve výstavbě, novostavba
- Kompletní informace: zde
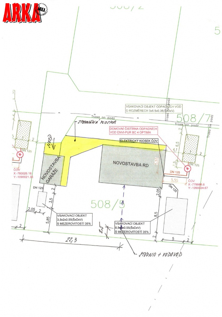
Prodej dvou stavebních pozemků na okraji obce Lazsko cca 8 km od Příbrami a cca 68 km od Prahy / cca 55 min autem /. Velice dobré spojení po dálnici D4 - sjezd o u obce Milín cca 3 km od stavebních pozemků. Prodává se pozemek na fotkách č. 5 o výměře 1052 m2 a pozemek č. 6 o výměře 1095 m2. K pozemku č. 5 je vydané stavební povolení na stavbu rodinného domu o zastavěné ploše 135 m2 a samostatně postavené garáže o zastavěné ploše 35 m2. Projekt je možné převzít nebo upravit podle zájemců. Plánovaná stavba přízemního rod. domu je 4 + kk, koupelna a WC, tech. místnost. Oba pozemky mají vlastní elektrickou přípojku a vlastní vrtanou studnu. Je plánovaná u každého pozemku malá domácí čistička odpadních vod. Součástí prodeje pozemků je podíl na přístupové komunikaci. Možnost okamžité stavby rod. domu. Obec Lazsko je napojená na místní autobusovou dopravu i pid - Příbram - Praha. Obchody, restaurace, školy, školky jsou v obci Milín a nebo v okresním městě Příbram / jezdí autobus /. Pozemky jsou na okraji obce ve velice pěkné krajině na dohled jsou Brdské lesy. Podrobné informace v RK. Při prohlídce nemovitosti je možné nahlédnout do stavebního projektu, na který je vydané stavební povolení.
- Lokalita: Středočeský kraj
- Příbram - Lazsko
- Cena za nemovitost: 2.700.000,-Kč
- Stav: velmi dobrý, ve výstavbě
- Kompletní informace: zde
Prodej stavebního pozemku 1700 m2 ve velice žádané lokalitě Příbram - Žežice. Pozemek je v mírném svahu a je zatravněný. Není nutné okamžitě stavět, je možné koupit pozemek i jako investici. Na pozemku je možné okamžitě stavět / po vyřízení stavebního řízení /. U pozemku je vlastní elektrická přípojka, vlastní kanalizační přípojka a obecní vodovod končí na hranici pozemku. Velice pěkné místo s výhledem. Předností je opravdu malá vzdálenost od hranice města Příbram cca 1 km a jezdí zde MHD - zastávka cca 300 m od pozemku. V okolí veškerá občanská vybavenost, obchody / Hypermarket Albert 15 min pěšky / nemocnice, školy, školky, kultura a sportoviště. Podrobné informace v RK.
- Lokalita: Středočeský kraj
- Příbram - Žežice
- Cena za nemovitost: 5.440.000,-Kč
- Stav: velmi dobrý
- Kompletní informace: zde























